REQUEST A TOUR If you would like to see this home without being there in person, select the "Virtual Tour" option and your agent will contact you to discuss available opportunities.
In-PersonVirtual Tour

Listed by Shawn Stuenkel • Hawkeye Commercial Real Estate
$ 681,000
Est. payment | /mo
14.88 Acres Lot
$ 681,000
Est. payment | /mo
14.88 Acres Lot
Key Details
Property Type Commercial
Sub Type Commercial
Listing Status Active
Purchase Type For Sale
MLS Listing ID QC4268140
Annual Tax Amount $868
Tax Year 2024
Lot Size 14.880 Acres
Acres 14.88
Property Sub-Type Commercial
Source rmlsa
Property Description
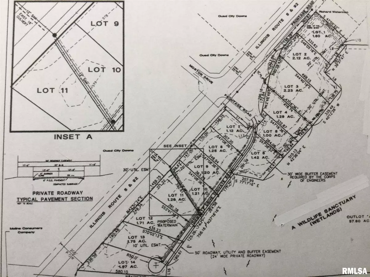
Industrial Park along heavily trafficked Hwy 92 in East Moline totaling 14.88 (MOL). Close proximity to I-80/I-88 interchange. Price varies on lots 4-14 based on individual parcel sizes or a combination of lots. Preliminary Plat with flexible development options. End users' plat, survey, and boundary lines are subject to Seller's approval. Zoned I-2.
Location
State IL
County Rock Island
Area Qcara Area
Zoning I-2
Direction Illinois Highway 5 and Morton Drive
Interior
Fireplace N
Exterior
Utilities Available Electricity Connected
View true
Garage 1
Building
Lot Description Unknown, Level
Faces Illinois Highway 5 and Morton Drive
Sewer Septic Tank
Water Municipal/City
Others
Tax ID 0928200002

GET MORE INFORMATION
Follow Us